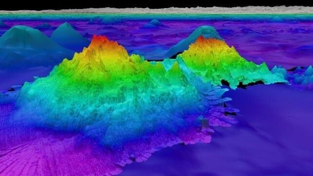
Scientists aboard the Schmidt Ocean Institute’s research vessel Falkor have made a significant discovery of four underwater mountains off the west coast of South and Central America. The seamounts, ranging in size from 1,591 to 2,681 meters, were found during a transit from Costa Rica to Chile. This latest discovery adds to the 29 seamounts, hills, and trenches that have been mapped by SOI scientists since 2012, often hosting deep-sea coral reefs, sponges, and anemones.
The research vessel Falkor has been instrumental in these discoveries, equipped with modern laboratories, tools, and high-performance computing systems. The latest seamounts were confirmed using multibeam mapping, as the team plotted a course to examine gravity anomalies during the transit from Costa Rica to Chile. These discoveries are crucial for understanding the planet and locating biodiversity hotspots, leading to new discoveries and advancements in knowledge of life on Earth.
The Schmidt Ocean Institute’s research vessel Falkor has made significant discoveries of four underwater mountains off the west coast of South and Central America. These seamounts, ranging in size from 1,591 to 2,681 meters, were found during a transit from Costa Rica to Chile. Since 2012, SOI scientists have mapped 1.5 million square kilometers of ocean floor and discovered 29 seamounts, hills, and trenches, often hosting deep-sea coral reefs, sponges, and anemones. The research vessel Falkor, equipped with modern laboratories and high-performance computing systems, has been instrumental in these discoveries. These latest seamounts were confirmed using multibeam mapping, leading to new discoveries and advancements in knowledge of life on Earth.





